671 Guelph Street Kitchener, Ontario N2H 5Y5

$899,000

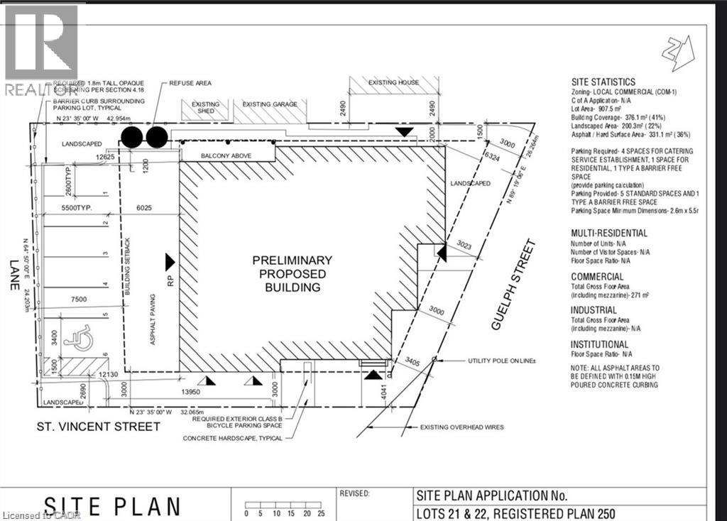
Approved Mixed-Use Development Lot – 671 Guelph St, Kitchener Excellent opportunity for investors and developers to acquire a fully approved mixed-use development site in a growing Kitchener neighbourhood. Zoned C-1 (Commercial Residential), the property permits both residential and commercial uses. The lot measures 104.74 ft x 79.52 ft and comes with an approved site plan and a complete building permit package, allowing for immediate development. Professionally designed mixed-use plans are included. Situated on a corridor with steady exposure and convenient access, this location supports long-term investment value. The surrounding area is seeing continued residential and commercial growth. Highlights: Lot Size: 104.74 ft x 79.52 ft Zoning: C-1 Site Plan & Permit Package Included Mixed-Use Plans Provided Strong Growth Area Turnkey development site in a stable and expanding market. (id:43503)

Property Details

MLS® Number 40799489
Property Type Vacant Land
Amenities Near By Public Transit, Schools

Building

Basement Type None
Utility Water Municipal Water

Land

Access Type Road Access
Acreage No
Land Amenities Public Transit, Schools
Sewer Municipal Sewage System
Size Depth 141 Ft
Size Frontage 87 Ft
Size Total Text Under 1/2 Acre
Zoning Description Com1

Utilities

Natural Gas Available

https://www.realtor.ca/real-estate/29265509/671-guelph-street-kitchener

Contact Us

Contact us for more information

Generating Captcha

Your Favourites

 

No Favourites Found

 

This site uses cookies to offer you a better browsing experience. By browsing this website, you agree to our use of cookies.